Zanthoxylum beecheyanum — an easy houseplant, prefers partial sun light
SPECIMEN · FROM THE LIBRARY
Zanthoxylum beecheyanum

Zanthoxylum Beecheyanum

Updated · 7 observations
ON THIS PLANT
A note from PlantMom

The Chinese pepper tree has strong disease resistance and is typically not susceptible to illnesses. In terms of upkeep, this plant is fairly low-maintenance. When grown outdoors it needs only minimal watering, and larger specimens usually do not require pruning. Smaller plants, however, should be trimmed after they have finished blooming. The Chinese pepper tree is well suited for anyone with an outdoor area, such as a garden or deck, and does not demand extensive care experience.

— PlantMom
CARE GUIDE

How to keep Zanthoxylum Beecheyanum.

Light

The Chinese pepper tree naturally grows in habitats like forest understories or rocky areas, where it is exposed to natural shade. It prefers partial sun but can also adapt to full sun or full shade, demonstrating its versatility and hardiness.

Temperature

The Chinese pepper tree adapts well to temperature, tolerating high heat and wide temperature fluctuations. In hot conditions, attention should be paid to watering and providing adequate shade to avoid sunburn. However, the tree is relatively intolerant of low temperatures; while it can endure some cold, excessively low temperatures can cause frost damage.

Fertilizer

Timing is vital when fertilizing a Chinese pepper tree. Apply fertilizer in early spring and continue monthly until early summer. Fertilizer encourages attractive blooms and supplies energy during both dormant and active growth periods.

CHARACTERISTICS

Botanical profile.

Plant Type
Shrub
Life Cycle
Perennial
Genus
Zanthoxylum
Family
Rutaceae
Hardiness Zone
7-9
Mature Height
3.05 m to 6.1 m
Mature Spread
2.13 m to 3.96 m
Leaf Color
Dark Green
Leaf Type
Deciduous
Flower Color
Green, Yellow
Flower Size
0.25 cm to 0.51 cm
Bloom Time
Mid spring, Late spring
Planting Time
Spring, Autumn
Harvest Time
Late summer, Early fall, Mid fall
Native Area
Japan
PLATES
Zanthoxylum beecheyanum leaf
PLATE 01 · leaf
Zanthoxylum beecheyanum leaf
PLATE 02 · leaf
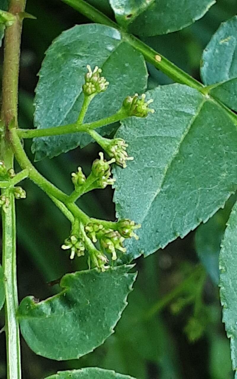
Zanthoxylum beecheyanum flower
PLATE 03 · flower
Zanthoxylum beecheyanum flower
PLATE 04 · flower
Zanthoxylum beecheyanum habit
PLATE 05 · habit
Zanthoxylum beecheyanum habit
PLATE 06 · habit
ALSO IN THE LIBRARY

You might also like.