Quercus canbyi — an easy houseplant, prefers full sun light
SPECIMEN · FROM THE LIBRARY
Quercus canbyi

Quercus Canbyi

Updated · 10 observations
ON THIS PLANT

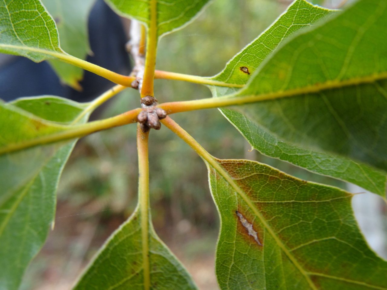
Quercus canbyi, commonly known as Canby oak, is a species of oak tree native to the western United States. This medium-sized deciduous tree can reach heights of up to 20 meters and has a trunk diameter of up to 60 centimeters. The bark is grayish-brown and deeply furrowed, giving it a rugged appearance.

The leaves of the Canby oak are simple, alternate, and oval-shaped with serrated edges. They are dark green on the upper side and lighter underneath, turning yellow or reddish-brown in the fall before they drop off for the winter.

The Canby oak produces acorns that are approximately 2 centimeters long, with shallow cups. These acorns mature in one year and serve as a food source for wildlife such as squirrels, deer, birds, and bears.

This species thrives in well-drained soils and can grow in both sunny and partially shaded areas. It is commonly found at elevations between 1,000 and 2,500 meters above sea level, often alongside other oaks like Quercus gambelii (Gambel oak) and Quercus turbinella (Arizona white oak).

Quercus canbyi holds cultural significance for Native American tribes, who used its bark for medicinal purposes and its branches for basket-making. Today, it remains an important part of many forest ecosystems due to its ecological value and its aesthetic appeal in landscaping projects.

A note from PlantMom

Mexican red oak shows strong resistance to disease and typically does not suffer from many illnesses. Regarding maintenance, this plant is fairly low-maintenance. When grown outdoors it needs only light watering, and mature plants usually do not require pruning. Young plants, however, should be pruned after they finish blooming. Mexican red oak is appropriate for anyone who has outdoor space — for example a garden or a deck — and it does not demand extensive gardening experience.

— PlantMom
CARE GUIDE

How to keep Quercus Canbyi.

Light

Mexican red oak is native to open habitats, such as sunny meadows and forest margins, which offer abundant light. It does best in Full Sun but will tolerate Partial Sun, demonstrating good adaptability to different sunlight exposures.

Water

The Mexican red oak is moderately drought-tolerant and thrives in semi-arid environments. For the best results, it should be watered every 1 to 2 weeks. As an evergreen tree, the Mexican red oak keeps its leaves throughout the year, which helps conserve water during dry spells.

Temperature

Mexican red oak is highly adaptable to a range of climate conditions, from blistering summers to cold winters. Still, it has an optimal temperature range for healthy growth. When temperatures get too high, the tree is susceptible to heat and humidity stress, which can lead to its death. In areas where temperatures approach the lower threshold of its cold tolerance, it is important to provide insulation to protect the plant.

Fertilizer

Fertilize your Mexican red oak in early spring to encourage healthy growth. Regular feeding improves overall health, leading to vigorous growth, better tolerance of harsh conditions, and enhanced resistance to pests and diseases. Keep a consistent fertilization schedule for your Mexican red oak to preserve vibrant, deeply colored foliage and a lush appearance.

Pruning

The Mexican red oak is a deciduous tree known for its vibrant red leaves. To maintain its health and improve its appearance, it is best to prune the tree in early spring. Focus on removing dead or damaged branches and enhancing air circulation among the branches. Use clean, sharp tools during pruning to prevent the spread of disease.

CHARACTERISTICS

Botanical profile.

Plant Type
Tree
Life Cycle
Perennial
Genus
Quercus
Family
Fagaceae
Hardiness Zone
7-10
Mature Height
12.19 m to 15.24 m
Mature Spread
9.14 m to 14.94 m
Leaf Color
Dark Green, Forest Green
Leaf Type
Semi-evergreen
Flower Size
0.20 cm to 0.25 cm
Bloom Time
Mid spring, Late spring
Planting Time
Spring, Summer, Autumn
Harvest Time
Late summer, Early fall, Mid fall
Native Area
Mexico
FREQUENTLY ASKED

Reader questions.

What are the sunlight requirements for a Mexican red oak (Quercus canbyi)?

For a Mexican red oak (Quercus canbyi), it's crucial to understand its sunlight needs to ensure its happiness and health. The tree requires 'full sun,' which is defined as receiving above 6 hours of sunlight daily, to thrive optimally. However, it can also tolerate 'partial sun,' meaning it can grow well with about 3-6 hours of sunlight each day. When planting a Mexican red oak, observe how sunlight moves through your garden over time. Choose planting spots that strike a perfect balance of light and shade to meet the tree's sunlight requirements.

What is the Mexican Red Oak?

The Mexican Red Oak, known botanically as Quercus canbyi, is a species of oak native to a specific region. Unfortunately, the provided data does not include information on its characteristics, common uses, or the essentials related to its care and growth conditions.

PLATES
Quercus canbyi leaf
PLATE 01 · leaf
Quercus canbyi leaf
PLATE 02 · leaf
Quercus canbyi bark
PLATE 03 · bark
Quercus canbyi bark
PLATE 04 · bark
Quercus canbyi habit
PLATE 05 · habit
ALSO IN THE LIBRARY

You might also like.