Hedera azorica
SPECIMEN · FROM THE LIBRARY
Hedera azorica

Hedera Azorica

ON THIS PLANT

Hedera azorica, the Azores ivy, is a species of ivy (genus Hedera) which is native to the Atlantic coast in the Azores Islands. It is an evergreen climbing plant, growing to 20–30 m high where suitable surfaces are available, and grows as ground cover where there are no vertical surfaces. It climbs by means of aerial rootlets which cling to the substrate.

A note from PlantMom

Azores ivy is highly resistant to disease and generally not prone to illnesses. In terms of care, this plant is fairly low-maintenance. When grown outdoors it needs only minimal watering, and larger specimens typically do not require pruning. Smaller plants should be pruned after they have bloomed. Azores ivy is suitable for anyone with an outdoor area, such as a garden or deck, and does not require extensive care experience.

— PlantMom
CARE GUIDE

How to keep Hedera Azorica.

Light

Azores ivy is native to habitats like forest understories and rocky sites, where it grows in natural shade. It prefers partial sun but can tolerate full sun or full shade, demonstrating its versatile and hardy nature.

Temperature

Azores ivy is highly adaptable to a range of climatic conditions, from very hot summers to cold winters. It still has a preferred temperature range for healthy growth. If temperatures become too high, the plant can suffer from heat and humidity stress, which may kill it. In areas where temperatures approach the lower limit of its cold tolerance, taking insulating measures to protect the plant is important.

Fertilizer

Fertilize your Azores ivy in early spring to encourage healthy growth. Regular feeding improves overall health, leading to vigorous growth, increased tolerance of harsh conditions, and enhanced resistance to diseases and pests. Follow a consistent fertilization schedule for your Azores ivy to keep its foliage vibrant, richly colored, and lush.

Pruning

Azores ivy is a climbing vine known for its evergreen foliage. To care for this plant, it's best to prune it in early spring. This is the ideal time to remove any dead stems and thin out crowded areas, which helps improve air circulation. Regular pruning not only maintains the plant's shape and enhances its appearance but also prevents it from becoming invasive. For more detailed guidance, consider consulting reliable horticultural sources.

CHARACTERISTICS

Botanical profile.

Plant Type
Shrub, Vine
Life Cycle
Perennial
Genus
Hedera
Family
Araliaceae
Hardiness Zone
7-10
Mature Height
10.06 m to 20.12 m
Mature Spread
4.88 m to 10.06 m
Leaf Color
Dark Green
Leaf Type
Evergreen
Flower Size
0.51 cm to 1.02 cm
Bloom Time
Late summer, Early fall, Mid fall
Planting Time
Spring, Summer, Autumn
Harvest Time
Late fall, Early winter, Mid winter
ALSO KNOWN AS

Other names.

en Azorean ivy
FREQUENTLY ASKED

Reader questions.

What are the sunlight requirements for Azores ivy?

Azores ivy, or Hedera azorica, thrives in various sunlight conditions but prefers specific amounts depending on its placement. For full shade areas, less than 3 hours of sunlight a day is sufficient. In contrast, areas with partial sun should provide about 3 to 6 hours of sunlight. It's crucial to observe how sunlight moves through your garden throughout the day. Selecting the ideal spots for your Azores ivy involves finding a harmonious balance of light and shade to ensure the plants' well-being and happiness.

What is the botanic name of Azores ivy?

The botanic name of Azores ivy is Hedera azorica. Azores ivy does not have other essential details, symptoms, or additional information provided in this context.

PLATES
Hedera azorica leaf
PLATE 01 · leaf
Hedera azorica leaf
PLATE 02 · leaf
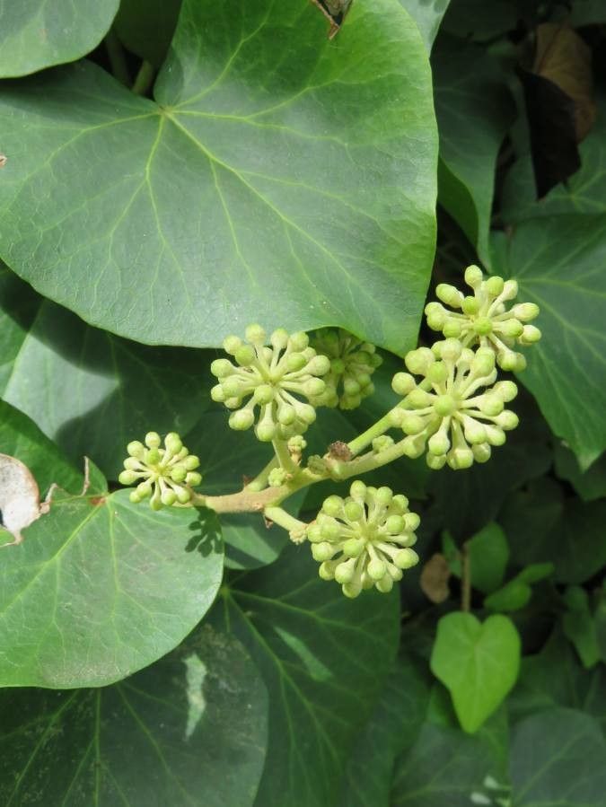
Hedera azorica flower
PLATE 03 · flower
Hedera azorica bark
PLATE 04 · bark
Hedera azorica bark
PLATE 05 · bark
Hedera azorica habit
PLATE 06 · habit
ALSO IN THE LIBRARY

You might also like.