Trema orientalis — an easy houseplant, prefers full sun light
SPECIMEN · FROM THE LIBRARY
Trema orientalis

Trema Orientalis

Updated
ON THIS PLANT

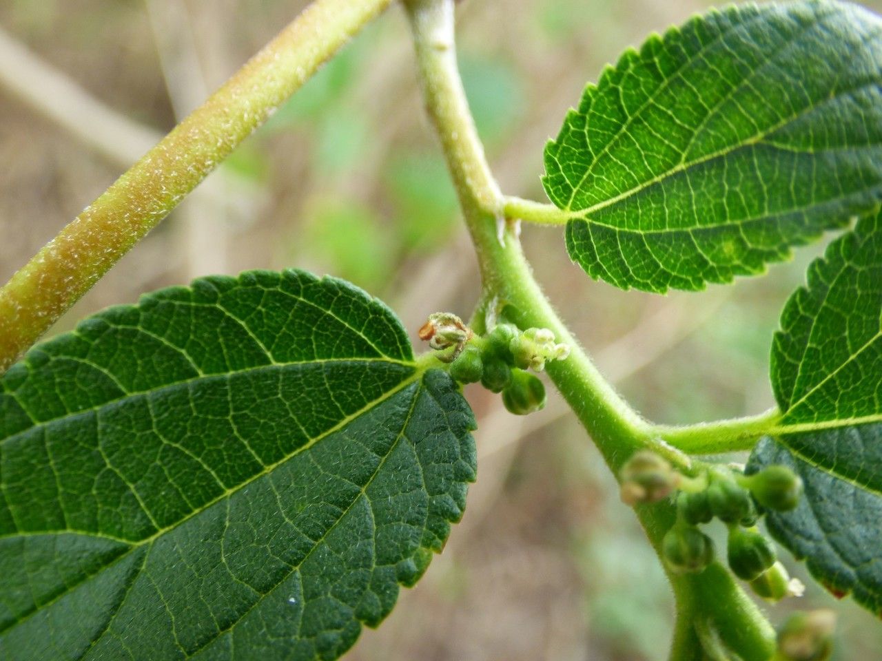
Trema orientalis, commonly known as the African pigeonwood or the Chinese parasol tree, is a fast-growing deciduous tree belonging to the Cannabaceae family. Native to Africa and Asia, this tree can reach heights of up to 20 meters. Its bark is smooth and greyish-brown, while its leaves are alternate, simple, and ovate with serrated margins.

The African pigeonwood produces small, greenish-yellow flowers arranged in clusters on long stalks. These flowers bloom from late spring to early summer, followed by small fruits that turn from green to black when ripe.

The Chinese parasol tree prefers moist soils but can tolerate a wide range of soil types as long as they are well-drained. It thrives in full sun or partial shade but may suffer frost damage if exposed to extreme cold.

In traditional medicine practices across Africa and Asia, various parts of Trema orientalis have been used to treat ailments such as fever, diarrhea, and dysentery, among others. The bark has also been used for making ropes, while its wood is valued for furniture due to its durability.

Overall, Trema orientalis is an attractive ornamental plant with many medicinal and industrial uses, making it an important species in many regions around the world today.

A note from PlantMom

Oriental trema is resistant to disease and typically not susceptible to illnesses. As for upkeep, this plant is fairly low-maintenance. When grown outdoors it needs little watering, and larger specimens usually do not require pruning. Smaller plants, however, should be pruned after they bloom. Oriental tremat is suitable for anyone with an outdoor area, such as a garden or deck, and does not need extensive care experience.

— PlantMom
CARE GUIDE

How to keep Trema Orientalis.

Light

Oriental trema primarily requires an environment with full sun exposure for optimal growth. Its native habitat was characterized by full sunlight, so it performs best under those conditions. Both excessive light and insufficient light can negatively affect its growth. Throughout its different growth stages, the requirement for sun exposure does not change significantly.

Water

Oriental trema thrives in subtropical environments that feature moderate humidity and are resistant to drought. For optimal growth, water the plant every 2 to 3 weeks to mimic its natural conditions. It is best suited for outdoor growth, where it can benefit from rainwater, aligning with its preference for a natural watering cycle.

Temperature

Oriental trema comes from tropical areas, where the climate is generally warm and humid. Consequently, it is well suited to high temperatures and humidity. It does not tolerate abrupt temperature changes and prefers a steady temperature environment, so avoiding indoor temperature fluctuations is important. It usually cannot withstand cold and requires higher temperatures to grow. If the surrounding temperature drops too low, the plant may stop growing or even die.

Fertilizer

Providing fertilizer is essential for the care of Oriental trema. Applying nutrients regularly during the growing season preserves energy for its showy foliage and supports overall growth. Failing to fertilize can lead to unhealthy leaves, reduced ornamental value, and stunted or weak growth that is prone to breaking.

Pruning

The Oriental trema is known for its fast growth and dense foliage. To maintain its health and appearance, it is important to prune it early in the spring. This involves removing any dead or diseased branches and thinning the canopy to improve air circulation. These steps not only enhance the tree’s health and appearance but also reduce the risk of disease. Be sure to use clean, sharp tools for precise cuts.

CHARACTERISTICS

Botanical profile.

Plant Type
Tree, Shrub
Life Cycle
Perennial
Genus
Trema
Family
Cannabaceae
Hardiness Zone
10-12
Mature Height
22.86 m to 30.48 m
Mature Spread
3.96 m to 6.1 m
Leaf Color
Green, Dark Green
Leaf Type
Deciduous
Flower Color
White
Flower Size
0.25 cm to 0.51 cm
Bloom Time
Mid spring, Late spring, Summer, Early fall
Planting Time
Spring, Summer, Autumn
Harvest Time
Mid summer, Late summer, Fall
Native Area
Sri Lanka, Burkina Faso, Somalia, India, Malaysia, Angola, Namibia, Madagascar, Rwanda, Eritrea, Nigeria, Yemen, Australia, Brunei, Kenya, Uganda, Tanzania, Mali, Zimbabwe, Benin, Sierra Leone, Indonesia, Cambodia, Equatorial Guinea, Liberia, Mozambique, Cameroon, Burundi, Oman, Ghana, Ethiopia, Congo, Nepal, Saudi Arabia, Malawi, Central African Republic, South Africa, Zambia, Sudan, Philippines, Laos, Bangladesh, Guinea, Chad, China, Vietnam, Myanmar, Japan, Togo, Senegal, Eswatini, Côte d'Ivoire, Gambia, Congo (DRC), Thailand, Gabon
ALSO KNOWN AS

Other names.

en Large poison-peach en Peach-cedar en Poison-peach en Tree-peach en Rough trema en Woolly-cedar en Charcoaltree en Indian charcoaltree en Pigeonwood en Gunpowder-tree en Oriental Nettle en Charcoal tree en Elm en Oriental trema en Indian Charcoal Tree en Indian Nettle en Pigeon Wood
FREQUENTLY ASKED

Reader questions.

What are the sunlight requirements for Oriental trema?

Oriental trema thrives best in full sun exposure, requiring more than 6 hours of sunlight daily for optimal growth. Its natural habitat is characterized by full exposure to the sun, making it crucial for such conditions to be replicated for the plant to flourish. Insufficient sunlight or overexposure can have adverse effects on the plant's growth. It's important to observe how sunlight moves through your garden and select locations that offer a harmonious balance of light and shade to ensure the well-being of your plants.

How do artificial lights support plant growth when natural sunlight is inadequate?

Indoor plants, including Oriental trema, require adequate lighting to grow optimally, especially when natural sunlight is insufficient. This is often the case during winter or in less sunny indoor spaces. Artificial lighting can be a vital solution, offering faster and healthier plant growth. LED lights, in particular, are recommended for indoor plants as they can be customized to provide specific wavelengths needed by the plants. Full sun plants generally need 30-50W/sq ft of artificial light, partial sun plants need 20-30W/sq ft, and full shade plants require 10-20W/sq ft. The light source should be placed 12-36 inches above the plant, mimicking natural sunlight and adjusted to match the natural daylight hours, usually between 8-12 hours per day.

What are some symptoms of light deficiency or overexposure in Oriental trema?

Oriental trema exhibits various symptoms in response to light deficiency or overexposure. Symptoms of light deficiency include smaller new leaves, leggy or sparse growth, faster leaf drop, slower or no new growth, and lighter-colored new leaves, indicating insufficient sunlight. Overexposure symptoms include chlorosis (yellowing leaves due to chlorophyll breakdown), sunscald (damaged plant tissue from intense sunlight), leaf curling (to minimize water loss), wilting (due to increased water loss through transpiration), and leaf scorching (brown, dry patches on leaves caused by excessive light). These symptoms highlight the plant's sensitivity to its light environment.

What solutions can help Oriental trema receive adequate sunlight?

To ensure Oriental trema receives the necessary sunlight, indoor plants can be gradually moved to sunnier locations, aiming for at least 6 hours of direct sunlight daily, or supplemented with artificial light if the plant is large or not easily moved. Utilize south-facing windows and keep curtains open during daylight hours. For outdoor plants, the gradual relocation to sunnier spots can help them adjust without the risk of sunburn. Minimizing obstructions, such as pruning trees that cast shadows, can improve sunlight exposure. If needed, transplanting to a location with better sunlight and drainage during the plant's dormant period is advisable. However, it's important to note that parts of the plant damaged by insufficient sunlight may not recover, but new growth should be healthy with improved light exposure.

PLATES
Trema orientalis leaf
PLATE 01 · leaf
Trema orientalis leaf
PLATE 02 · leaf
Trema orientalis flower
PLATE 03 · flower
Trema orientalis flower
PLATE 04 · flower
Trema orientalis fruit
PLATE 05 · fruit
Trema orientalis fruit
PLATE 06 · fruit
ALSO IN THE LIBRARY

You might also like.