Ocotea viridiflora — a medium houseplant
SPECIMEN · FROM THE LIBRARY
Ocotea viridiflora

Ocotea Viridiflora

Updated · 2 observations
ON THIS PLANT

Ocotea viridiflora is a species of plant, an evergreen tree in the genus Ocotea of the family Lauraceae. It is found in Panama and possibly Costa Rica.

CHARACTERISTICS

Botanical profile.

Genus
Ocotea
Family
Lauraceae
PLATES
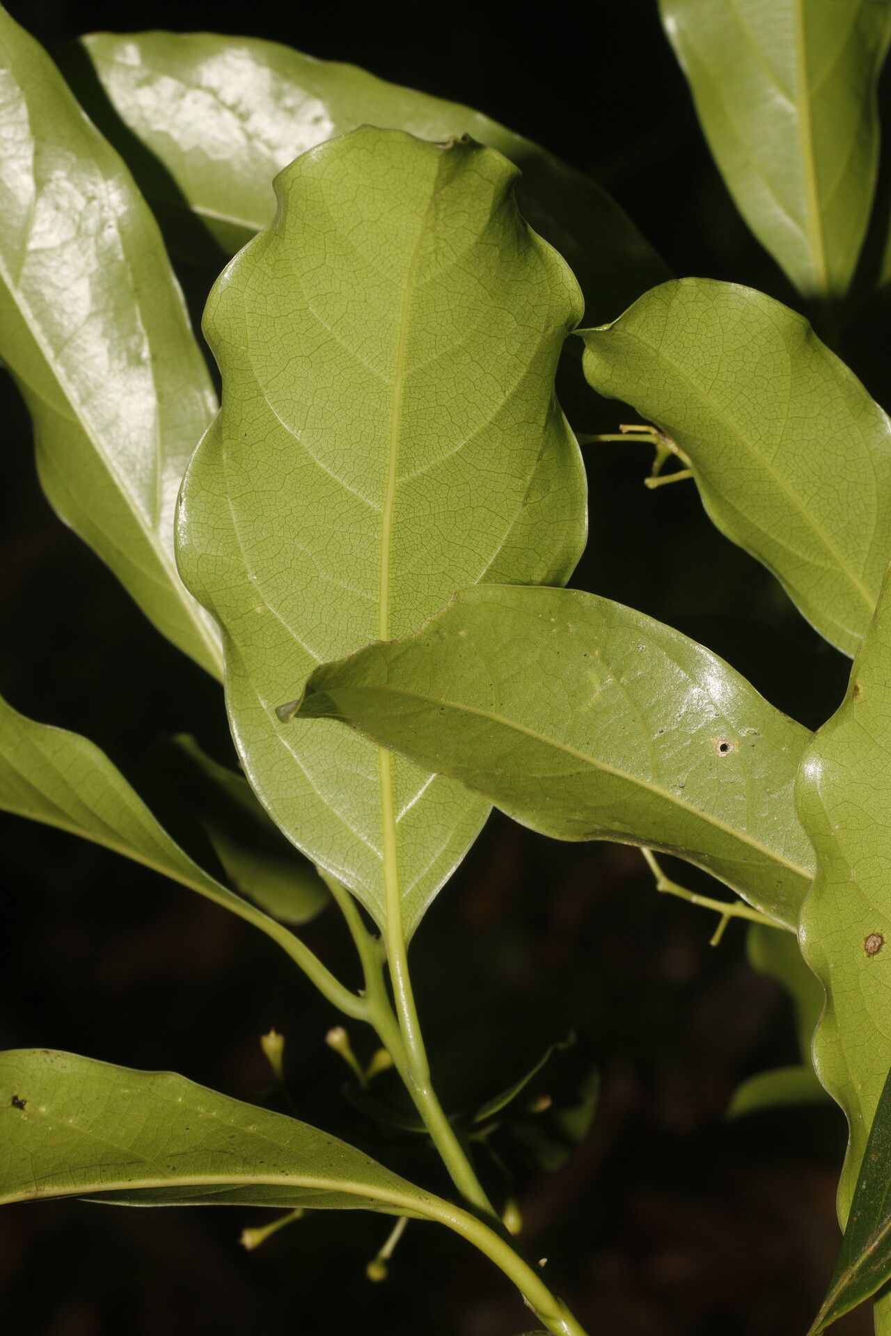
Ocotea viridiflora leaf
PLATE 01 · leaf
Ocotea viridiflora leaf
PLATE 02 · leaf
Ocotea viridiflora flower
PLATE 03 · flower
Ocotea viridiflora fruit
PLATE 04 · fruit
Ocotea viridiflora fruit
PLATE 05 · fruit
Ocotea viridiflora bark
PLATE 06 · bark
ALSO IN THE LIBRARY

You might also like.