Ocotea monteverdensis — a medium houseplant
SPECIMEN · FROM THE LIBRARY
Ocotea monteverdensis

Ocotea Monteverdensis

Updated · 1 observations
ON THIS PLANT

Ocotea monteverdensis is a critically endangered tree species in the family Lauraceae, endemic to the cloud forests of Costa Rica. It plays an important ecological role as a food source for several frugivorous birds, including the three-wattled bellbird, which disperses its seeds. The species has declined due to habitat loss, fragmentation, and low regeneration rates.

CHARACTERISTICS

Botanical profile.

Genus
Ocotea
Family
Lauraceae
PLATES
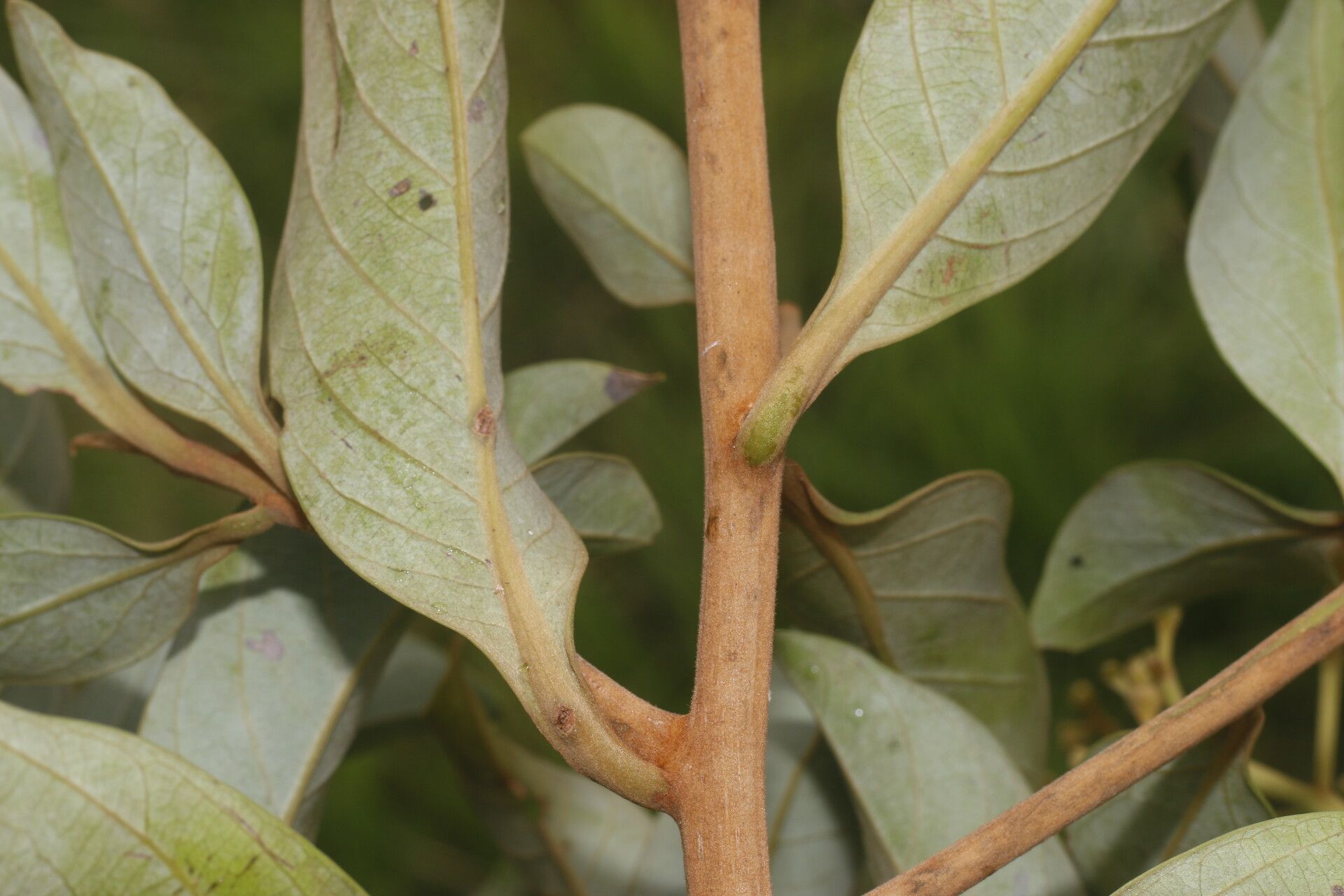
Ocotea monteverdensis leaf
PLATE 01 · leaf
Ocotea monteverdensis leaf
PLATE 02 · leaf
Ocotea monteverdensis flower
PLATE 03 · flower
Ocotea monteverdensis flower
PLATE 04 · flower
Ocotea monteverdensis bark
PLATE 05 · bark
Ocotea monteverdensis bark
PLATE 06 · bark
ALSO IN THE LIBRARY

You might also like.