Croton purdiei — a medium houseplant
SPECIMEN · FROM THE LIBRARY
Croton purdiei

Croton Purdiei

Updated · 1 observations
ON THIS PLANT
PLATES
Croton purdiei flower
PLATE 01 · flower
Croton purdiei flower
PLATE 02 · flower
Croton purdiei leaf
PLATE 03 · leaf
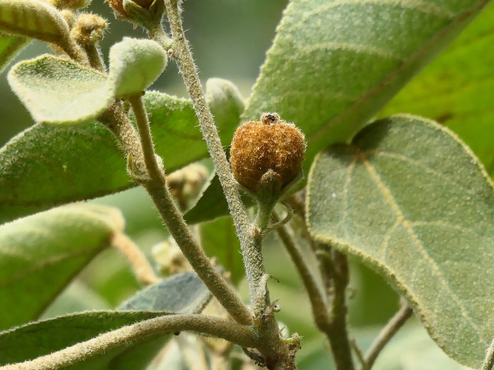
Croton purdiei fruit
PLATE 04 · fruit
ALSO IN THE LIBRARY

You might also like.