Cayaponia americana, commonly known as the American cayaponia or wild pumpkin, is a perennial vine that belongs to the Cucurbitaceae family. Native to Central and South America, it thrives in various habitats, including forests, savannas, and disturbed areas.
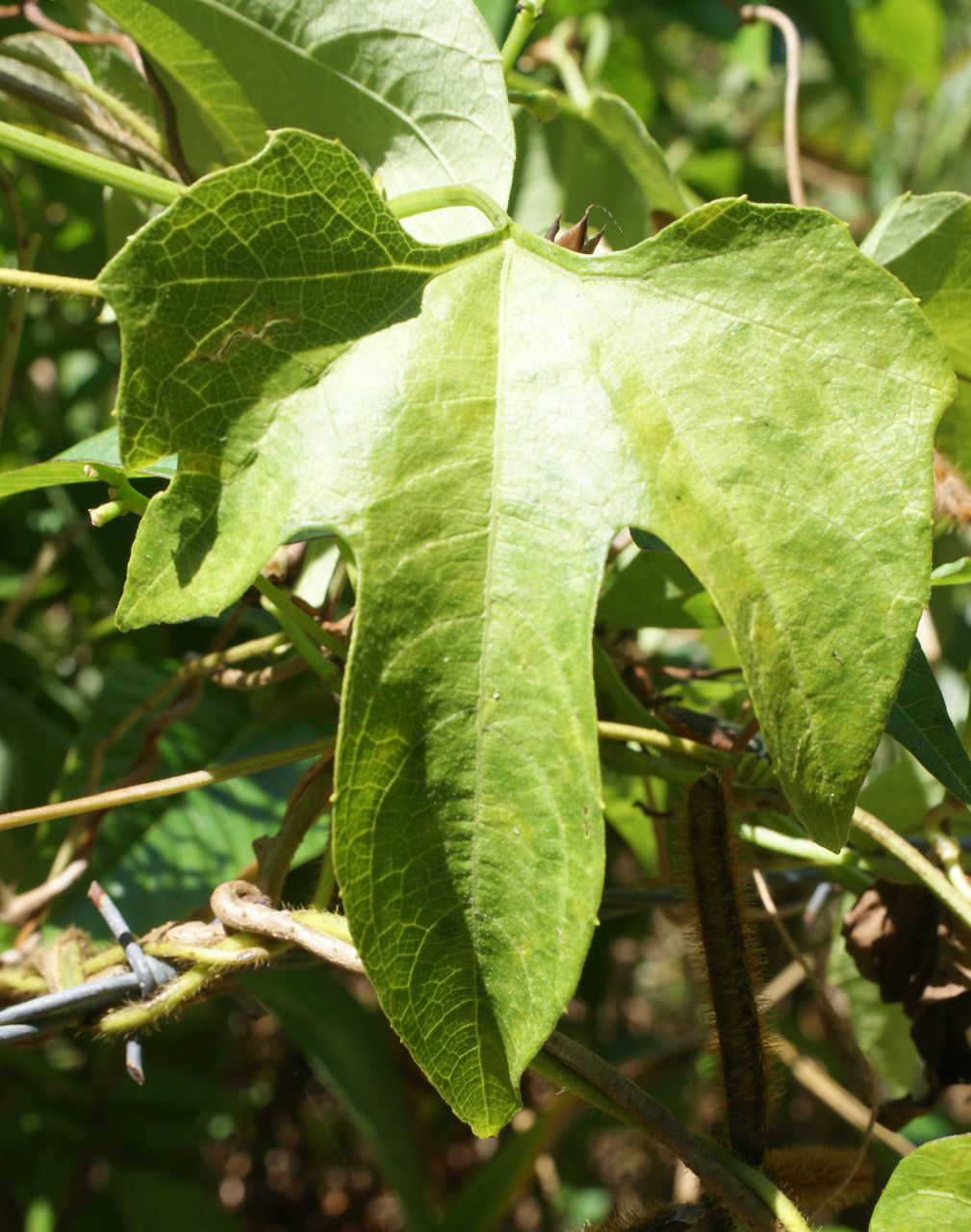
The plant features a slender stem that can extend up to 10 meters in length, supported by tendrils that enable it to climb other plants or structures. Its heart-shaped leaves, with serrated edges, can grow up to 15 cm long. The small flowers of Cayaponia americana have five white petals and yellow centers.
The plant produces a small, greenish-yellow, pumpkin-like berry that contains numerous seeds. Traditionally, Cayaponia americana has been used for its medicinal properties in treating conditions such as fever, inflammation, diarrhea, and dysentery.
In certain regions where it grows naturally, the fruit is also used for culinary purposes. The pulp can be consumed raw or cooked into soups and stews.
In summary, Cayaponia americana is a plant with both medicinal and culinary applications, making it significant to various communities within its native habitat range.
American melonleaf is fairly disease-resistant and typically does not develop many illnesses. Still, it can be affected by pests and diseases present in its surroundings. Such infections are generally mild. For care, this plant needs moderate maintenance. It should be pruned regularly to preserve a neat appearance and encourage healthy growth. Applying fertilizer can also encourage flowering. American melonleaf is appropriate for anyone with outdoor space, such as a garden or patio, and does not demand extensive care experience. It may need more attention if kept indoors.
How to keep Cayaponia Americana.
Temperature
American melonleaf comes from tropical areas, where the climate is usually warm and humid. Consequently, it is adapted to high heat and humidity. It is sensitive to sudden temperature changes and prefers a steady thermal environment, so indoor temperature fluctuations should be avoided. It generally does not tolerate cold and requires warmer conditions to grow. If the surrounding temperature falls too low, the plant may stop growing or even die.
Fertilizer
During its active growth period—primarily in spring, summer, and early fall—American melonleaf will need the most fertilizer. Fertilizing provides essential nutrients that the soil may lack, supporting strong root and stem growth and the development of the attractive foliage that characterizes this plant.
Botanical profile.
Other names.