Callicarpa acuminata
SPECIMEN · FROM THE LIBRARY
Callicarpa acuminata

Callicarpa Acuminata

ON THIS PLANT

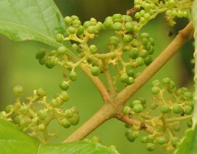
Callicarpa acuminata is a species of beautyberry native to Latin America from Mexico to Bolivia. Unlike the other species of this genus, C. acuminata produces small berry-like fruits which can be dark-purple or dark blue-purple. The fruit can sometimes be white. The flowers blooms are white. The fruit grow in tight clumps and sometimes resemble grapes. They are cultivated as garden trees. Three varieties are recognized:

Callicarpa acuminata var. acuminata - from Mexico to Bolivia Callicarpa acuminata var. argutidentata Moldenke - Tamaulipas, Honduras Callicarpa acuminata var. pringlei (Briq.) Moldenke - eastern Mexico from Tamaulipas to Chiapas

CHARACTERISTICS

Botanical profile.

Genus
Callicarpa
Family
Lamiaceae
ALSO KNOWN AS

Other names.

en Beautyberry
PLATES
Callicarpa acuminata leaf
PLATE 01 · leaf
Callicarpa acuminata leaf
PLATE 02 · leaf
Callicarpa acuminata flower
PLATE 03 · flower
Callicarpa acuminata flower
PLATE 04 · flower
Callicarpa acuminata fruit
PLATE 05 · fruit
Callicarpa acuminata fruit
PLATE 06 · fruit
ALSO IN THE LIBRARY

You might also like.